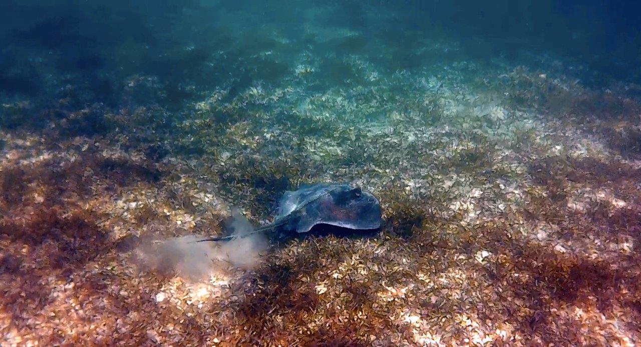
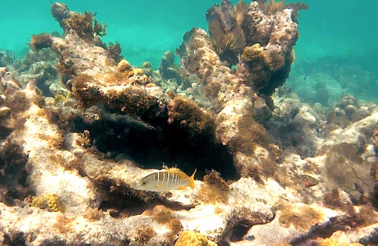
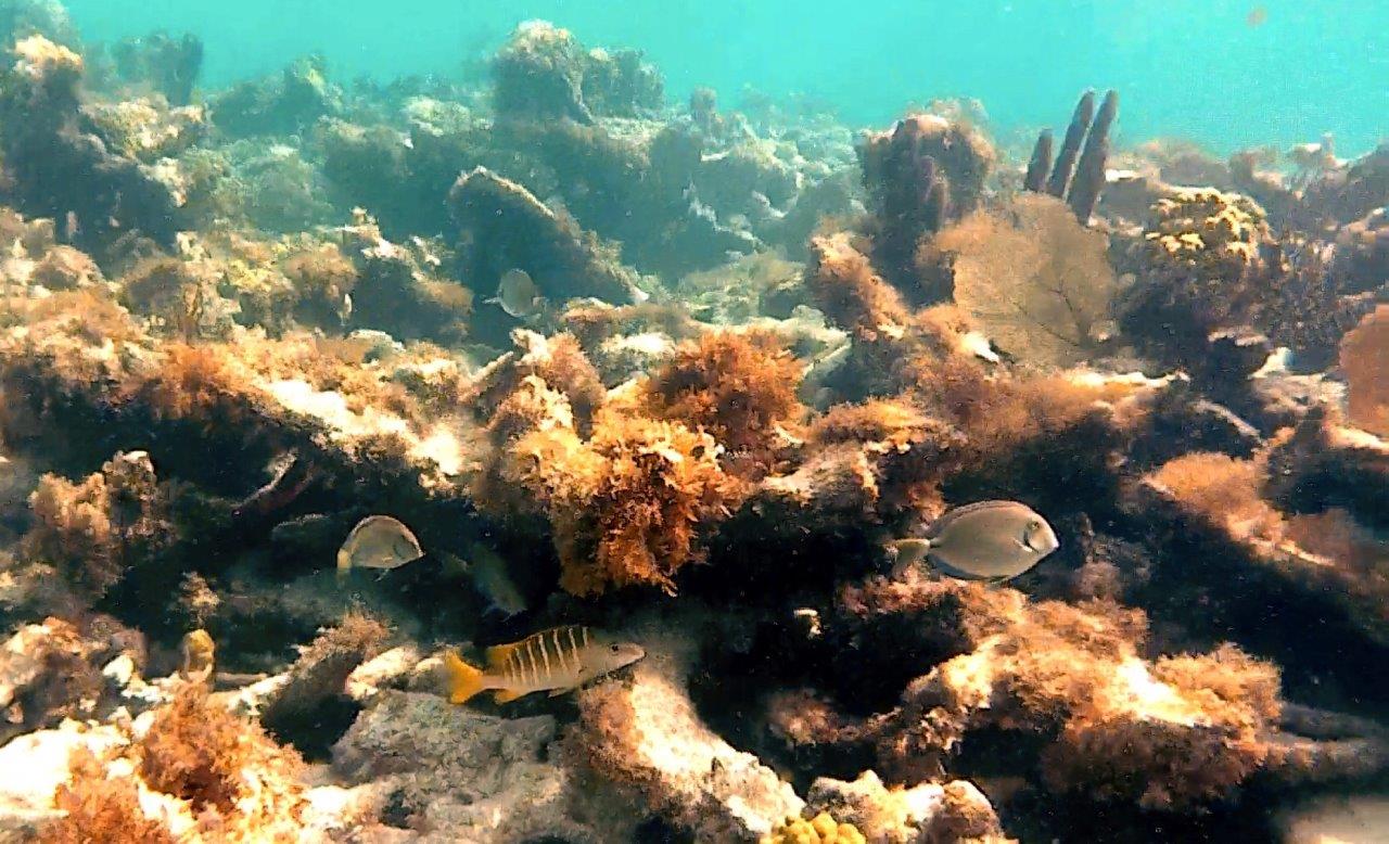
Little ibex enjoys snorkeling at the small reefs around Coco Point in Barbuda. There are a lot of fish and stingrays that pose willingly for a picture. Just the turtles seem to be shy. She can see them from afar, but never close enough for a picture.













Some large fish even clean the hull of the boat.


While the fish clean the boat, little ibex bakes bread and watches the Austrian flag being sewn together again.


